ELVIÑA- ESTACIÓN DEL 115
Breve Introducción: 262.000 €
Anuncio
Publicado: 2015-05-24
Vistas: 2
Número de serie:njxWeZz8
Por favor dígame que vea la información de armanax.com.
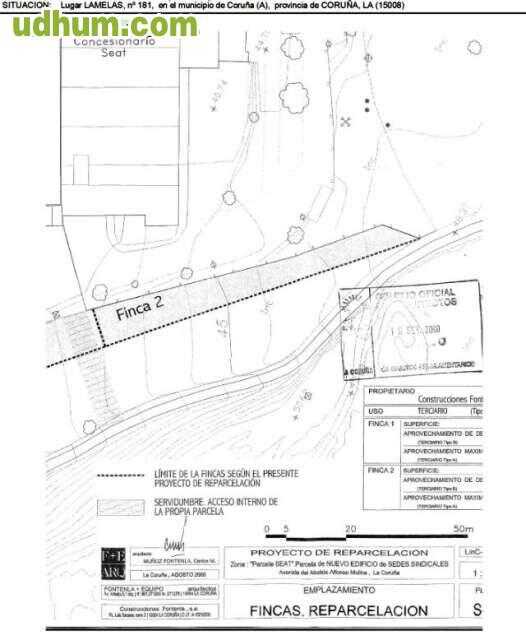
Haga clic en la imagen para ampliarla
Ref: 8370. parcela neta de 518 m2 de suelo real, catastral y registral, con uso urbanístico dotacional (dot). es suelo urbano consolidado, con su urbanización completada y posibilidad de licencia directa. en el p. g. o. m vigente, aprobado definitivamente el 25/02/2013, se encuentra dentro de la norma zonal 6 de actividades económicas, subzona 3 grandes superficies comerciales. terciario tipo a, equipo-institucional, aprovechamiento máximo 1. 701, 54 m2. para poder materializar el aprovechamiento máximo, la par. CE: G
Impresión
Anuncio
Conexo ELVIÑA- ESTACIÓN DEL 115
A Coruña - Elviña- Estación del Tren A Coruña - Elviña- Estación del Tren, IdPlanta=6, , , . 250. 000 eur. juncal_lanza@assignia. com Ref. 57 Calefacción. Ascensor. 1ª Planta. CE: G
Ref: 1829. Atico con terraza, situado cerca de la estación del tren. Tiene 2 dormitorios, 2 baños y salón cocina. Edificio de reciente construcción. Armarios. Calefacción. Parquet. Terraza. Trastero. Ascensor. Cocina equipada. 6ª Planta. CE: G
Ref: 1829. Atico con terraza, situado cerca de la estación del tren. Tiene 2 dormitorios, 2 baños y salón cocina. Edificio de reciente construcción. Armarios. Calefacción. Parquet. Terraza. Trastero. Ascensor. Cocina equipada. 6ª Planta. CE: G
Ref: V158mp. Se vende piso amueblado en la zona del Martinete-Elviña. Distribuido en dos dormitorios independientes, cocina equipada y amueblada, amplio salón con acceso a la terraza y un baño completo con bañera. Puerta de seguridad, ventanas de alu
Ref: 26. Piso de 90 m2, con ascensor, totalmente amueblado, cocina con electrodomésticos: microondas, nevera, horno, vitrocerámica, cafetera. . . , salón muy amplio, 3 dormitorios completos, cuarto de baño con plato de ducha y mampara. Zona con todos
Zona especial CASTRO DE ELVIñA 9. Ref: OP 3 -2B. Vivienda bien equipada y amueblada con gusto Edificio de nueva construcción con gas ciudad en la zona del Campus Universitario de la Zapateira. Opción a plaza de garaje por 20? Armarios. Calefacción. A
Ref: 26. Piso de 90 m2, con ascensor, totalmente amueblado, cocina con electrodomésticos: microondas, nevera, horno, vitrocerámica, cafetera. . . , salón muy amplio, 3 dormitorios completos, cuarto de baño con plato de ducha y mampara. Zona con todos
Ref: ar10311pablopicaso. zona elviña. vivienda compuesta de entrada, salón-comedor, cocina equipada, tres dormitorios, un baño y un aseo. dispone de plaza de garaje y trastero. los gastos de comunidad están incluidos en el precio. en alquilar coruña
Ref: V158mp. Se vende piso amueblado en la zona del Martinete-Elviña. Distribuido en dos dormitorios independientes, cocina equipada y amueblada, amplio salón con acceso a la terraza y un baño completo con bañera. Puerta de seguridad, ventanas de alu
Ref: 102058. Precioso loft al lado del Centro Comercial Espacio Coruña, con zonas comunes deportivas, piscina comunitaria, gimnasio, zona infantil. . . Terraza de 8 m2. Edificio de reciente construcción. Cocina americana totalmente equipada. Amueblad
Ref: 199. Urge!! En la Zapateira, a escasos metros del club Sporting Casino, precioso piso en urbanización Privada de 143 metros, 3 dormitorios, salón de 45 metros con chimenea y terraza con vistas a las zonas comunes, cocina totalmente equipada con
Ref: 1167-sh. ¡¡¡gran oportunidad!!! ¡¡¡haganos una oferta!!! pisos en la zapateira con parking y trastero! en un entorno muy tranquilo y residencial muy próximo al real club de golf de a coruña y al sporting club casino. zona muy bien comunicada con
Ref: 1380. Local comercial en 1ª planta de 358 m2 construidos. Sesenta metros de fachada acristalada a 3 calles. Situado a un paso del centro de la ciudad y con excelente comunicación de entrada y salida de la misma. Habilitado actualmente para uso c
Ref: Parcela principio Zapateira - Peñarredonda. Excelentes parcelas, con IMPRESIONANTES VISTAS sobre la ciudad, la ría y el mar de A Coruña. Entorno inmejorable, a un paso de los mejores colegios de la ciudad, del hospital Kiron, transporte urbano;
Ref: cp31410salvador. zona estación de tren. vivienda compuesta de entrada, salón-comedor, cocina equipada con acceso a zona de lavadero-tendedero, cuatro habitaciones, dos baños equipados con bañera, uno de ellos en la habitación principal. dispone
Ref: A y F. ¡¡¡OPORTUNIDAD!!! viviendas en alquiler a estrenar de 3 dormitorios sin amueblar, con 2 baños, salón comedor y cocina independiente, todo exterior, muy soleados, con plaza de garaje y trastero, en la Torre que está situada a las puertas d
Ref: 01229. duplex martinete, en la planta de abajo cocina totalmente amueblada con una despensa, 1 aseo, amplio salón comedor, en la parte superior 3 dormitorios amplios, 1 baño completo con bañera y garaje. todo exterior. situado a pocos minutos de
Ref: S-0093. Piso de 4 dormitorios en Elviña, con 2 baños, un salón amplio, totalmente exterior, vistas despejadas Ascensor. Amueblado. 8ª Planta. CE: E
Ref: 01229. duplex martinete, en la planta de abajo cocina totalmente amueblada con una despensa, 1 aseo, amplio salón comedor, en la parte superior 3 dormitorios amplios, 1 baño completo con bañera y garaje. todo exterior. situado a pocos minutos de
Zona especial CASTRO DE ELVIñA 9. CASTRO DE ELVIÃA , 9 CASTRO DE ELVIÃA , 9, IdPlanta=3. 77. 100 eur. carlos@delvina. es Ref. OP3BJA. Bajo. CE: G
Ref: 1597. Vivienda situada en la Urbanización Valaire en A Zapateira, a menos de tres kilómetros del centro de A Coruña, junto al Sporting Club Casino y próxima al Club de Golf, en un enclave rodeado de naturaleza a un paso de la ciudad. Consta de a
Ref: 290. Local en planta baja situado en Monelos y próximo a Cuatro Caminos y centro comercial Elviña. Semi acondicionado. 1 aseo. Fachada con escaparate. Bajo. CE: G
Ref: 236. MAGNíFICO PISO. 115 metros cuadrados listos para vivir. 3 dormitorios, 2 baños. Hilo musical, climalit, videoportero, calefacción, hidromasaje, seis armarios empotrados de gran capacidad, trastero, plaza de garaje con una segunda plaza opci





